Disponibilités > A LOUER – 57, AVENUE DE LA REPUBLIQUE – VENISSIEUX – LOT MIXTE ACTIVITES BUREAUX

A LOUER – 57, AVENUE DE LA REPUBLIQUE – VENISSIEUX – LOT MIXTE ACTIVITES BUREAUX

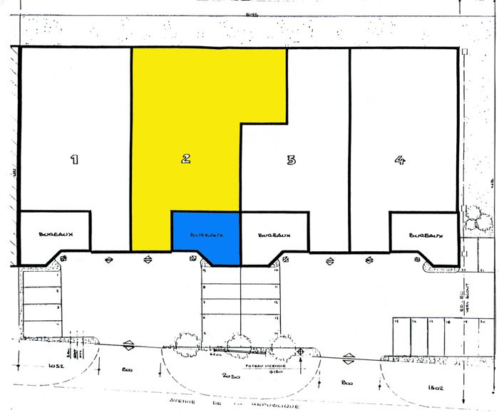
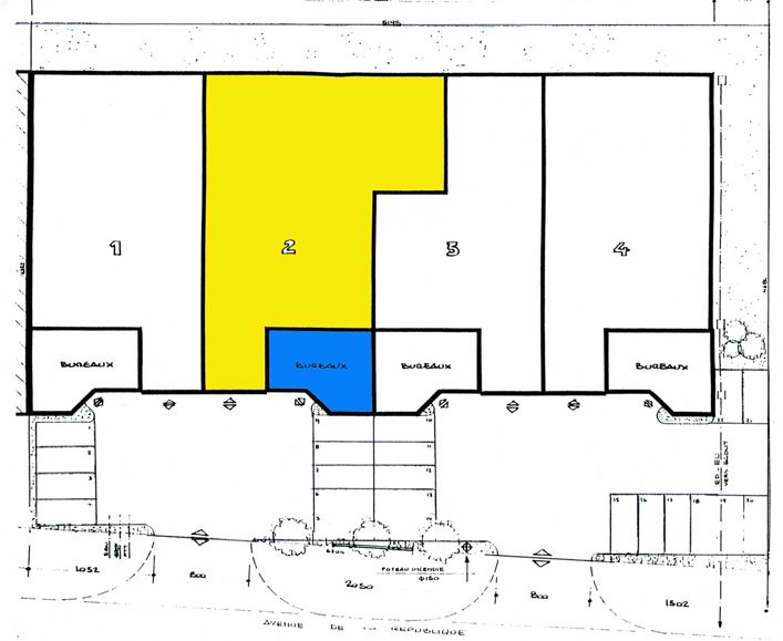
Au sein du Parc République III, 57, avenue de la République à Vénissieux
Un local de 715 m² développés dont :

Activités toute hauteur 249 m²

Bureaux 240 m²

Petite activité, vestiaires, autres surfaces 226 m²

Bande de terrain d’une contenance de 88 m² à l’arrière du bâtiment

5 emplacements de parking

Accès par porte sectionnelle

Loyer annuel de 40 000 €HT

Charges 2022 : 3 420 €HT

TF 2022 : 4 355 €HT

Disponible au 15 février 2025

Honoraires Bailleur 10 %

Visite : Passe Rhone Foncier

document and support material

Belfor RdC 2023.vsd.pdf

Belfor étage 2023.vsd.pdf